Ter. agricolo in vendita

Carnate, Via Fornace
€ 45.000
3000 Mq 3000 Mq

Ter. agricolo in vendita

Carnate, Via Fornace

Descrizione annuncio

COSA SAPERE DELL'IMMOBILE

PER INFORMAZIONI ED APPUNTAMENTI CHIAMA 039 636 11 75

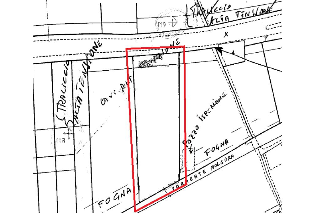
Il terreno agricolo che viene proposto esclusivamente in vendita sviluppa una superficie di circa 3.000 metri quadrati.

DESCRIZIONE E PARTICOLARITA'

La soluzione proposta in vendita è a destinazione d'uso agricolo e misura in totale 3.000 metri quadrati. Il terreno è accessibile tramite una strada semi asfaltata che poi diventa una strada sterrata. Il lotto presenta un leggero dislivello e NON possiede allaccio all'elettricità, al gas e alle fogne. Per l'allaccio acqua, a pochi metri scorre il Torrente Molgora da cui è possibile ricavare dell'acqua per irrigare il campo. C'è la possibilità di recintare il terreno.

UBICAZIONE E CONTESTO

L'area si trova nel Comune di Carnate.

Mostra tutto

Nelle vicinanze

Trasporto pubblico Trasporto pubblico
Carnate Usmate
Carnate Usmate
1,3 Km
Trasporto pubblico
950 m
Ronco Briantino - Mandelli/ Pio Undicesimo
Ronco Briantino - Mandelli/ Pio Undicesimo
1,0 Km
Osnago
Osnago
2,2 Km
Ricariche auto elettriche Ricariche auto elettriche
Ekomobil - 22 Kw
2,7 Km
Scuole Scuole
Istituto Comprensivo Montessori
1,0 Km
Scuola Secondaria di Primo Grado di Ronco Briantino
1,1 Km
Scuola Primaria di Ronco Briantino
1,1 Km
Scuola Secondaria di Primo Grado di Carnate
1,3 Km
Scuola Primaria di Carnate
1,5 Km
Farmacia Farmacia
Ranieri
1,1 Km
Farmacia
1,5 Km
Parafarmacia Prinetti
1,9 Km
Parafarmacia Conad
2,0 Km
Farmacia Villanova
2,2 Km
Supermercati Supermercati
Sigma
1,2 Km
Eurospin
1,7 Km
Conad
2,0 Km
Supermercato Big
2,3 Km
Supermercati
2,8 Km
Negozi Negozi
L'angolo del Pane
1,8 Km
Negozi
1,8 Km
Vestinfiaba
1,9 Km
Da Federico Alimentari
1,9 Km
Penny Market
2,0 Km
Bar Bar
La Sosta
1,3 Km
Spritz Bar
1,4 Km
Bar del Centro
1,5 Km
Bar
1,5 Km
Bar Bacco
2,1 Km
Ristoranti Ristoranti
Castello
760 m
Hangar Burger
1,0 Km
Ristoranti
1,1 Km
Pizza Dream
1,3 Km
Da Rita
1,3 Km
Mostra tutto

Caratteristiche

Rif.:
60894180
Piano:
Terra
Condizionamento:
Assente
Ascensore:
No
Riscaldamento:
Assente
Libero:
Mostra tutto
Prezzo Prezzo
€ 45.000
Rata mutuo Rata mutuo
€ 212 / mese
Spese annue Spese annue
€ 0
Proponi il tuo prezzoProponi il tuo prezzo

Altre caratteristiche

Descrizione dei locali
Bagno Cieco

Classe Energetica

Questo immobile è esente da classe energetica
Anno di costruzione:
1900
Riscaldamento:
Assente

Ti interessa visionare l'immobile?

Fissa un appuntamento  Fissa un appuntamento

Richiedi informazioni

Clicca su Leggi per aprire l'informativa
* Questi campi sono obbligatori

Calcola il tuo mutuo

Semplice e senza impegno
Anticipo

( % )
Mutuo

( % )

pochi semplici passi

inserisci i tuoi dati
Questionario completato
Grazie per aver richiesto un appuntamento senza impegno con un nostro Consulente del Credito e Assicurativo.

Hai inserito correttamente tutti i dati necessari e a breve riceverai una e-mail con un link da convalidare per inviare i tuoi dati.
Affiliato
Industriale Vimercate Srl
Via Lecco, 95 20864 Agrate Brianza (MB)

Il nostro staff


  • Francesca Cucchi
    Coordinatrice

  • Stella Fumagalli
    Coordinatrice

  • Davide Migliavacca
    Collaboratore

  • Marco Presta
    Collaboratore

  • Andrea Pedrocchi
    Affiliato
Via Lecco, 95 20864 Agrate Brianza (MB)
Zona: Vimercate
Mostra su mappa
Affiliato
Industriale Vimercate Srl
Via Lecco, 95 20864 Agrate Brianza (MB)

2026 Tecnocasa Franchising S.p.A. - P. IVA 08365160152 - Via Monte Bianco 60/A 20089 Rozzano (MI). Ogni agenzia ha un proprio titolare ed è autonoma. Privacy policy | Policy utilizzo | Cookie policy